Back

Cornish Oak

Quercus petraea

Flower
Foliage
Cornish Oak

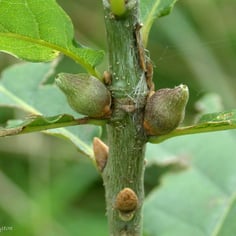
Ireland's national tree and one of Europe's most enduring oaks, sessile oak produces stalkless acorns clustered directly on the stem and grows into a broad, mildew-resistant crown that has weathered centuries on both sides of the Atlantic.

Sessile oak takes its common name from the stalkless acorns that cluster directly from the stem rather than hanging on the long peduncles of its close relative, the English oak. Native across most of Europe from the British Isles to the Caucasus, it is the national tree of Ireland and has supported entire ecosystems and timber traditions for millennia. In the garden it grows 60 to 80 feet tall with a broad rounded crown and grayish bark. It prefers moist, fertile, well-drained soils but is notably adaptable, performing well in clay, tolerating acid and neutral pH, and handling drier conditions once established.

Sessile oak is harder to source in the United States than the more familiar English oak, but worth pursuing for collectors and those with large properties seeking European heritage trees. It shows better mildew resistance than many oaks in humid climates, which counts for something in the Southeast and mid-Atlantic. Like all oaks in this genus, it hosts Imperial moth larvae and a diverse community of butterfly species. The acorns, appearing after roughly 20 to 30 years, are an important wildlife food. Plant it where the canopy has room to fully spread, then step back and let decades do the work.

|
Zone4 - 7
TypePoisonous
FoliageDeciduous
GrowthModerate
Height60 - 80 ft
Spread60 ft
BloomSpring
MaintenanceMedium
SunFull sun
SoilClay
DrainageGood drainage
FormRounded
TextureMedium
PropagationSeed
DesignShade tree
FamilyFagaceae
LocationsLawn
Garden themesButterfly Garden
AttractsButterflies
Resistant toDeer
Palettes