Back

Chinese Elm

Ulmus pumila

Flower
Foliage
Chinese Elm

Siberian Elm is a survivor from harsh Asian steppes, drought-tolerant and disease-resistant but prone to becoming weedy in disturbed ground.

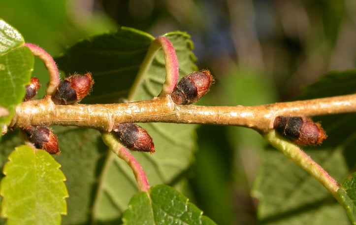
Ulmus pumila came to the United States in the 1860s carrying a reputation built on adversity. Native to the dry grasslands and open forests of northern Asia, it grew fast, endured cold winters, laughed off drought, and resisted Dutch elm disease at a time when that resistance was rare and desperately needed. Its vase-shaped crown can reach 50 to 70 feet, and its leaves are narrowly ovate with a doubly serrate margin and an oblique base characteristic of the elm family. The large shiny black winter buds are a useful identification feature when the tree is bare.

Time has tempered the enthusiasm considerably. The wood is weak and branches break readily under wind, snow, or ice loads. Elm leaf beetles find it hospitable, and the copious seed production means it colonizes roadsides, fence lines, and disturbed ground without invitation, earning it borderline-invasive status in parts of the Great Plains and Mountain West. Windbreak plantings in Minnesota and similar climates remain its most defensible role, but gardeners with the option to plant native alternatives should take it seriously. Where it is already established, it gives fast shade; where it is being considered new, the full reckoning is worth having first.

|
Zone4 - 9
TypeTree
FoliageDeciduous
GrowthFast
Height50 - 70 ft
Spread24 - 60 ft
BloomSpring
MaintenanceHigh
SunFull sun
SoilClay
DrainageGood drainage
FormErect
TextureMedium
PropagationSeed
FamilyUlmaceae
Resistant toDrought
Palettes